Loading...
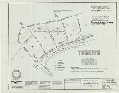
Revisions to Lots 8, 9, 10, 11 of The Fairways of Pinetree, Unit 1
Cadastral & Land Surveys Ltd.
Cadastral & Land Surveys Ltd.
Citations
Altmetric:
Abstract
Revisions to survey of land lot 94 of the 20th District, 2nd Section, Cobb County, Georgia
Description
Revisions to lots 8, 9, 10, 11 of unit one of the Fairways of Pinetree created on October 21, 1983. The lots are located along Frey Lake Road, in land lot 94, 20th district, Cobb County.
Date
2021-10-22T15:42:43Z
Journal Title
Journal ISSN
Volume Title
Publisher
Collections
Files
Loading...
Middleton_C_046.jpg
JPEG, 4.35 MB
Research Projects
Organizational Units
Journal Issue
Keywords
Cobb County (Ga.)--Surveys, Surveying, Land subdivision, Real property--Maps
Citation
Revisions to Lots 8, 9, 10, 11 of The Fairways of Pinetree, Unit 1, 1983, Douglas D. Middleton survey maps, 1970-1992, SC/M/008, Kennesaw State University Archives.