Loading...
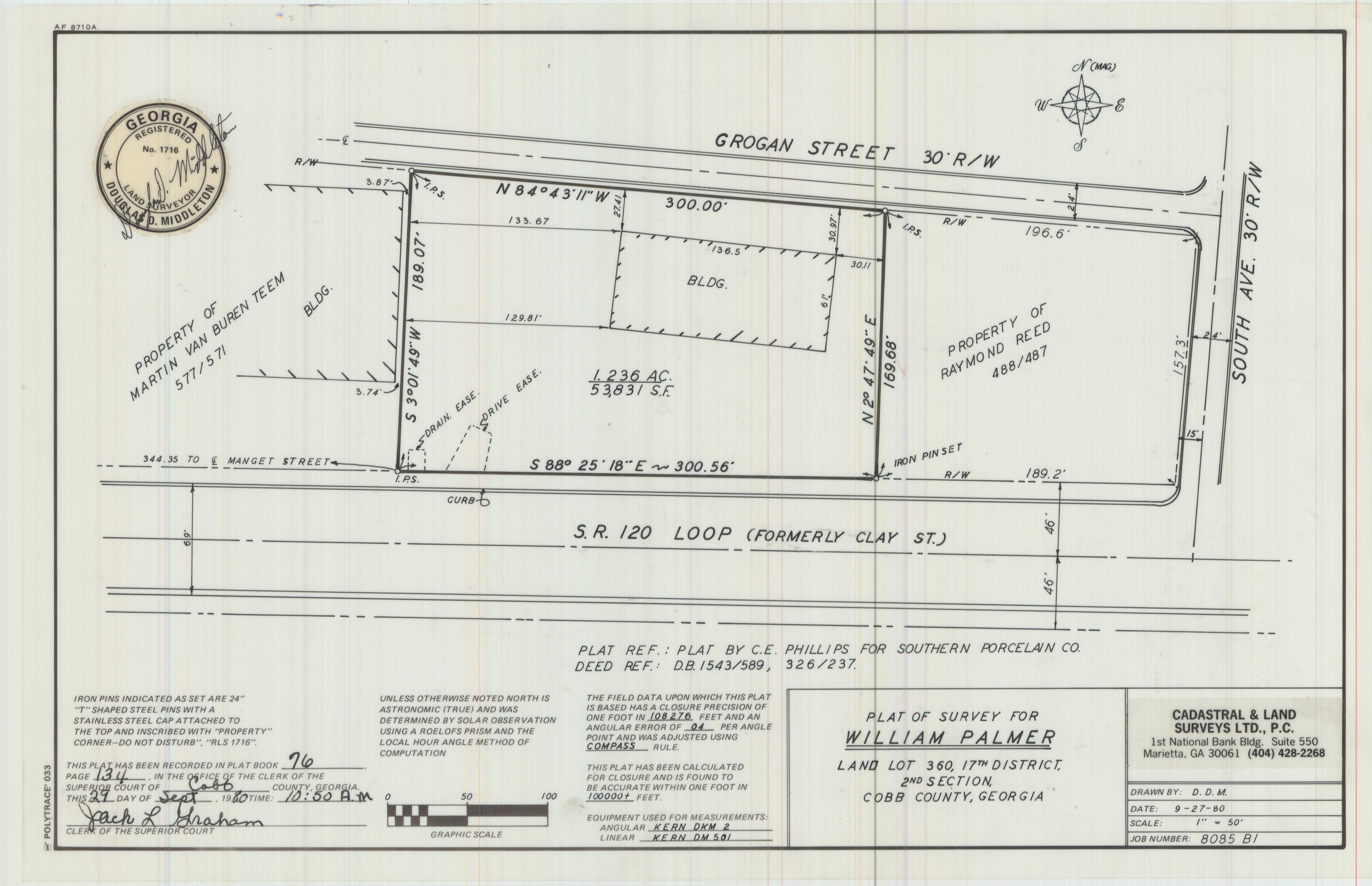
Plat of Survey for William Palmer, Grogan Street
Cadastral & Land Surveys Ltd.
Cadastral & Land Surveys Ltd.
Citations
Altmetric:
Abstract
Plat of survey of land lot 360 of the 17th District, 2nd Section, Cobb County, Georgia
Description
Plat of survey for William Palmer created on September 27, 1980. The lot is located along Grogan Street, on the land lot 360, 17th district, Cobb County.
Date
2021-10-22T15:42:47Z
Journal Title
Journal ISSN
Volume Title
Publisher
Collections
Files
Loading...
Middleton_A5_041.jpg
JPEG, 2.53 MB
Research Projects
Organizational Units
Journal Issue
Keywords
Cobb County (Ga.)--Surveys, Surveying, Land subdivision, Real property--Maps
Citation
Plat of Survey for William Palmer, Grogan Street, 1980, Douglas D. Middleton survey maps, 1970-1992, SC/M/008, Kennesaw State University Archives.