Loading...
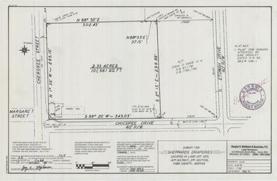
Survey for Sheppards Draperies, Cherokee Street
Douglas D. Middleton and Associates
Douglas D. Middleton and Associates
Citations
Altmetric:
Abstract
Survey of land lot 1073 of the 16th District, 2nd Section, Cobb County, Georgia
Description
Survey for Sheppards Draperies created on October 17, 1985. The lot is located along Cherokee Street, in land lot 1073, 16th district, Cobb County.
Date
2021-10-22T15:42:46Z
Journal Title
Journal ISSN
Volume Title
Publisher
Collections
Files
Loading...
Middleton_A5_011.jpg
JPEG, 2.38 MB
Research Projects
Organizational Units
Journal Issue
Keywords
Cobb County (Ga.)--Surveys, Surveying, Land subdivision, Real property--Maps
Citation
Survey for Sheppards Draperies, Cherokee Street, 1979, Douglas D. Middleton survey maps, 1970-1992, SC/M/008, Kennesaw State University Archives.